
Why This Cat's Claw (Samento) Herbal Formula Differs From the Others
Overview
Samento is a unique TOA-free cat's claw extract that outperforms the traditional form. Unlike commercial cat's claw, Samento contains only beneficial POAs for optimal immune support. Discovered in the 1980s Amazon by missionary Tim Eaton, this rare variety has been used by indigenous cultures for 2,000+ years. Provides immune, cardiovascular, and neurological support.
What Makes Cat's Claw a 2,000-Year-Old Health Secret?
Indigenous cultures have treasured cat's claw as nature's ultimate wellness companion for over 2,000 years.
"This remarkable tropical vine has supported human health across generations—and modern science is finally catching up to ancient wisdom."
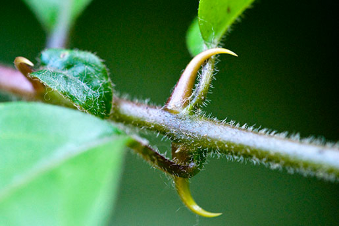
This remarkable tropical vine, named for its distinctive hooked thorns, has supported human health across generations—and modern science is finally catching up to ancient wisdom.
Cat's claw (Uncaria tomentosa) from the Rubiaceae family grows naturally in the Amazon rainforest and can reach over 100 feet in length. It can take two decades to reach full maturity.
But you need to make sure you're getting the most beneficial formula.
The Science Behind the Benefits
Research reveals cat's claw offers comprehensive health support through multiple pathways:
Immune System Excellence
- Supports balanced immune function and provides antioxidant protection
- Helps maintain healthy inflammatory response through modulation of inflammatory mediators
Cardiovascular & Metabolic Support
- Promotes heart health
- Supports healthy blood sugar levels
- Assists with healthy circulation
Neurological Wellness
- Supports brain function and may help with memory and cognition
- Provides microbial support
Why Do Most Cat's Claw Supplements Fall Short?
Here's where science comes in — and why choosing the right cat's claw matters tremendously.
Traditional cat's claw contains two types of alkaloids: TOAs (Tetracyclic Oxindole Alkaloids) and POAs (Pentacyclic Oxindole Alkaloids). POAs are the source of the best health benefits of cat's claw, while TOAs can block the pronounced effects of POAs.
The Problem with Traditional Cat's Claw
Most commercial cat's claw contains up to 80% TOAs, which actually interfere with the beneficial POAs. Even just 1% TOAs can significantly reduce the immune-supporting abilities you're seeking because TOA disrupts the function of the nervous system and also inhibits the effects of POA.
Research has shown that POA and TOA derivatives have antagonistic effects, with lymphocyte antiproliferative and proliferative effects, respectively.
That's why you want Samento, which only has POAs.
"Research has shown that POA and TOA derivatives have antagonistic effects, with lymphocyte antiproliferative and proliferative effects, respectively. That's why you want Samento, which only has POAs."
How Was This Superior Form of Cat's Claw Discovered?
A Missionary's Life-Changing Encounter
"During a survival test, missionary Tim Eaton met local tribesmen who encouraged him to drink the water from a vine they called 'samento.' This encounter led to a remarkable discovery."
The story of premium cat's claw begins in the 1980s Amazon jungle. During a survival test, missionary Tim Eaton met local tribesmen who encouraged him to drink the water from a vine they called "samento." They assured him the water was good to drink and wouldn't make him sick – and they were right!
This encounter led to a remarkable discovery: a rare, naturally occurring cat's claw variety that contains only beneficial POAs, with zero TOAs. Tim became acquainted with the Amazonian pharmacopeia that placed this divine water at the center of their herbalist practices.
He was so impressed, he founded a company, NutraMedix. Now, over 30 years later, this unique product remains a best-seller at NutraMedix – and this special form of cat's claw is still sourced responsibly from Peru.
Why This Matters for Your Health
When you choose Samento, you're getting:
- Pure POA benefits without interference
- Optimal immune support that works with your body's natural balance without the inhibiting effects of TOA
- Maximum potency from nature's most refined chemotype
Safe, Effective, and Well-Researched
Important Safety Notes:
- Always consult your healthcare provider before starting any new supplement
- Especially crucial if you're pregnant or have existing medical conditions
- Some medications may interact with cat's claw
Smart Dosing for Real Results
For liquid TOA-free cat's claw, the standard approach is:
- Starting dose: 1 drop, gradually increasing
- Standard dose: 30 drops (1.5 mL) twice daily
- Timing: Take 30 minutes before meals for optimal absorption
Always follow manufacturer guidelines and your healthcare provider's recommendations.
The Bottom Line: Ancient Wisdom, Modern Validation
Cat's claw represents the perfect marriage of traditional knowledge and contemporary science. While indigenous peoples have relied on its benefits for thousands of years as an immune system rejuvenator and to support a healthy microbial response, modern research now confirms what they've always known.
Systematic reviews and meta-analyses demonstrate cat's claw's support of a healthy inflammatory response.
The choice is clear: when it comes to cat's claw, quality matters. Choose the rare, naturally TOA-free variety that works with your body, not against it. Choose Samento.
Sources
- Gattuso, M., Di Sapio, O., Gattuso, S., & Pereyra, E. L. (2004). Morphoanatomical studies of Uncaria tomentosa and Uncaria guianensis bark and leaves. Phytomedicine, 11(2-3), 213-223. Abstract: https://pubmed.ncbi.nlm.nih.gov/15070175/
- Batiha, G. E. S., Magdy Beshbishy, A., Wasef, L., Elewa, Y. H., El-Hack, A., Mohamed, E., ... & Tufarelli, V. (2020). Uncaria tomentosa (Willd. ex Schult.) DC.: A Review on Chemical Constituents and Biological Activities. Applied Sciences, 10(8), 2668. Full text: https://www.researchgate.net/profile/Gaber_Batiha2/publication/339848824_Uncaria_tomentosa_A_Review_on_Traditional_Uses_Bioactive_Chemical_Constituents_and_Pharmacological_and_Toxicological_Activities/links/5e99f70592851c2f52aa5df2/Uncaria-tomentosa-A-Review-on-Traditional-Uses-Bioactive-Chemical-Constituents-and-Pharmacological-and-Toxicological-Activities.pdf
- Ahmad, R., & Salim, F. (2015). Oxindole Alkaloids of Uncaria (Rubiaceae, Subfamily Cinchonoideae): A Review on Its Structure, Properties, and Bioactivities. In Studies in Natural Products Chemistry (Vol. 45, pp. 485-525). Elsevier. Abstract: https://www.sciencedirect.com/science/article/pii/B9780444634733000125
- Sandoval, M., Charbonnet, R. M., Okuhama, N. N., Roberts, J., Krenova, Z., Trentacosti, A. M., & Miller, M. J. (2000). Cat’s claw inhibits TNFα production and scavenges free radicals: role in cytoprotection. Free Radical Biology and Medicine, 29(1), 71-78. Abstract: https://pubmed.ncbi.nlm.nih.gov/10962207/
- Karl-Heinz Reinhard (1999). Uncaria tomentosa (Willd.) DC.: Cat's Claw, Una de Gato, or Saventaro. The Journal of Altern and Complementary Medicine, pp. 143-151. Full text: https://pubmed.ncbi.nlm.nih.gov/10328636/
- Piscoya J., Rodriguez Z., Bustamante SA, Okuhama, N. N., Miller, M. J. S., & Sandoval, M. (2001). Efficacy and safety of freeze-dried cat's claw in osteoarthritis of the knee: mechanisms of action of the species Uncaria guianensis. Inflamm Res, 50(9), 442-448. Full text: https://www.researchgate.net/profile/Mark_Miller25/publication/11746367_Efficacy_and_safety_of_freeze-dried_cat's_claw_in_osteoarthritis_of_the_knee_Mechanisms_of_action_of_the_species_Uncaria_guianensis/links/00b7d52979818dbc96000000.pdf